Nacional
PAN Sinaloa acusa a Morena de querer rastrear a ciudadanos sin orden judicial.
Vale la pena compartir esta noticia Ley espía acabará con libertades” de los Mexicanos. Junio 25 de 2025. La presidenta del Comité Directivo Estatal del PAN en Sinaloa, Wendy Barajas, advirtió que Morena está impulsando una serie de reformas que calificó como “profundamente peligrosas”, al considerar que atentan contra la privacidad y los derechos de los ciudadanos, al …
En julio se normalizará el abasto de medicamentos, garantiza Sheinbaum
Vale la pena compartir esta noticia La presidenta de México, Claudia Sheinbaum, aseguró que en julio se normalizará el abasto de medicamentos en todo el país. Junio 22, 2025. La presidenta de México, Claudia Sheinbaum, aseguró que en julio se normalizará el abasto de medicamentos en todo el país. En Ciudad del Carmen, Campeche, y …
Estiman que exportaciones automotrices en México caigan 12% por aranceles de Trump
Vale la pena compartir esta noticia La industria del plástico busca fortalecer su papel en la cadena automotriz ante los aranceles impuestos por el gobierno de Estados Unidos. Junio 20 de 2025. Los productores y fabricantes de plástico en México proyectan una disminución del 12 por ciento en las exportaciones automotrices, debido a los aranceles …
Peso y BMV culminan semana negativa por conflicto en Medio Oriente
Vale la pena compartir esta noticia El peso cerró en 19.1544 unidades por dólar, con una depreciación de un 0.67%, prolongando una corrección que viene sosteniendo desde el lunes cuando avanzó hasta 18.8180 unidades, un nivel no visto desde agosto del año pasado. Junio 20 de 2025. El peso y la Bolsa Mexicana de Valores …
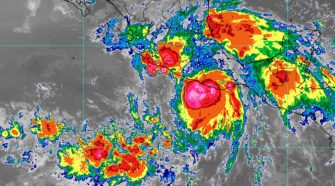
El huracán ‘Erick’ tocó tierra en Oaxaca en categoría 3
Vale la pena compartir esta noticia El meteoro mantiene su trayectoria hacia las costas de Oaxaca y Guerrero. Junio 19 de 2025. La Comisión Nacional del Agua informó que el huracán Erick tocó tierra en México a las 5:30 am en categoría 3 sobre el municipio de Santiago Pinotepa Nacional, Oaxaca. ⚠️???? El #Huracán #Erick tocó tierra a las 05:30 …
Detienen a “El Flaquito”, líder del Cártel de los Arellano Félix, en Tijuana
Vale la pena compartir esta noticia Pablo Edwin “N”, alias “El Flaquito”, está vinculado con delitos como secuestro, intentos de homicidio y conformación de grupos de sicarios. Junio 17 de 2025. El titular de la Secretaría de Seguridad y Protección Ciudadana (SSPC), Omar García Harfuch, informó sobre la detención de Pablo Edwin “N”, alias “El Flaquito”, uno de los …
Advierten paro en sector petrolero en julio por deudas de Pemex
Vale la pena compartir esta noticia El sector petrolero reiteró su disposición a colaborar con el Gobierno para garantizar la operación continua y asegurar la producción de hidrocarburos. Junio 17 de 2025. La Asociación Mexicana de Empresas de Servicios Petroleros (Amespac) advirtió un paro en el sector petrolero a partir de julio próximo debido a las deudas acumuladas de la estatal Petróleos Mexicanos (Pemex) y …
“Dalila” avanza en el Pacífico mexicano; habrá lluvias intensas a torrenciales en 5 estados
Vale la pena compartir esta noticia La tormenta tropical “Dalila” ocasionará lluvias intensas a torrenciales en Nayarit, Jalisco, Colima, Michoacán y Guerrero. Junio 14, 2025. La tormenta tropical “Dalila” mantiene su avance por el Pacífico mexicano, con lluvias de intensas a torrenciales en al menos cinco estados, según avisó este sábado el Servicio Meteorológico Nacional (SMN). La #TormentaTropical #Dalila mantendrá #Lluvias intensas a torrenciales, #Rachas fuertes de Viento y #Oleaje elevado en #Nayarit, #Jalisco, #Colima, #Michoacán y #Guerrero. …
Perfiles cuestionables se imponen en la elección judicial.
Vale la pena compartir esta noticia Aunque apenas uno de cada 10 mexicanos acudió a las urnas en la primera elección popular del Poder Judicial, la autoridad electoral se encamina y valida el triunfo de jueces, magistrados y ministros de la Suprema Corte que entrarán en funciones el 1 de septiembre. Junio 13, 2025. Candidatos …
Acuerdan bajar el precio de la tortilla en 10% durante el sexenio de Sheinbaum
Vale la pena compartir esta noticia Se acordó reducir gradualmente el precio de la tortilla durante el próximo semestre, con una meta del 10% a lo largo del sexenio. Junio 12, 2025. Durante una reunión entre productores de maíz y la presidenta Claudia Sheinbaum en Palacio Nacional, se acordó una estrategia para reducir de forma …
Surge la tormenta tropical Bárbara en costas de Guerrero; podría evolucionar a huracán
Vale la pena compartir esta noticia Se prevé que la tormenta tropical Bárbara evolucione este lunes 9 de junio a huracán de categoría 1, cuando avance hacia Punta San Telmo, Michoacán. Junio 8, 2025. Una de las zonas de baja presión identificada en el océano Pacífico se fortaleció a tormenta tropical, de nombre Bárbara. Hasta las 6:15 …
Andrés Manuel López Beltrán pide que no le llamen ‘Andy’; Salinas Pliego sugiere decirle ‘junior’
Vale la pena compartir esta noticia López Beltrán consideró que en las recientes elecciones de Durango donde Morena se rezagó, prefirieron decirle ‘Andy’ porque saben lo que significa el legado de Andrés Manuel López Obrador. Junko 7 de 2025. Andrés Manuel López Beltrán, secretario de Organización de Morena e hijo de Andrés Manuel López Obrador, …
Los principales puntos del informe preliminar de la misión de la OEA sobre la elección judicial en México
Vale la pena compartir esta noticia El informe de la OEA ofrece una evaluación rigurosa, detallada y equilibrada de la elección judicial. Junio 7, 2025. México vivió el pasado domingo las inéditas, complejas y altamente controvertidas elecciones judiciales. La Misión de Observación Electoral (MOE) de la Organización de los Estados Americanos (OEA) emitió su Informe Preliminar sobre el proceso. …
“Asume tu responsabilidad”; Priistas lanzan críticas a Andrés López Beltrán
Vale la pena compartir esta noticia No entiendes al país, no das la cara, no tienes con qué pararte frente al pueblo. Junio 7 de 2025. Senadores del PRI lanzaron críticas y burlas hacia Andrés Manuel López Beltrán, secretario de Organización de Morena e hijo del ex presidente Andrés Manuel López Obrador, luego de que …




